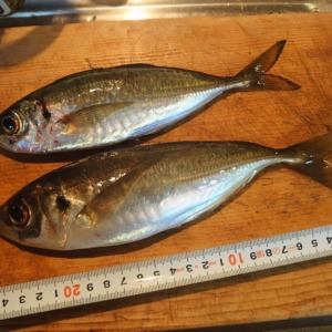
釣果情報 コメント 昨日のポイントへ15時過ぎから19時まで☝ みんな遠投カゴでやってるとこまでジグを遠投☝ 魚名 マアジ 釣行日 2020.11.05 地域 神奈川県 釣り場 横浜市磯子区 サイズ 22.5cm 重さ 報告する マアジ 神奈川県の天気予報・雨雲レーダー神奈川県のライブカメラ一覧 Tweet Share